Track Hurricanes Live: Radar & NOAA Satellite Guide

T.Beswifty 111 views
Track Hurricanes Live: Radar & NOAA Satellite Guide

Track Hurricanes Live: Radar & NOAA Satellite Guide

Hey everyone! Are you ready to dive into the world of hurricane tracking? As someone fascinated by weather patterns, I know how crucial it is to stay informed during hurricane season. Understanding how to use live radar and NOAA satellite data can be a lifesaver. This guide is your friendly companion, breaking down everything you need to know about tracking these powerful storms, so grab your coffee, and let’s get started!

Understanding Hurricanes: The Basics

Before we jump into the techy stuff, let’s refresh our knowledge of what hurricanes actually are. Hurricanes are essentially nature’s most intense storms, fueled by warm ocean waters. They begin as tropical disturbances, and if the conditions are right – like warm ocean temperatures, low wind shear, and a pre-existing area of low pressure – they can intensify into tropical depressions, then tropical storms (earning names!), and finally, hurricanes. These storms are characterized by their circular shape, with a calm center called the eye, surrounded by the eyewall, where the most intense winds and rainfall occur. The size and intensity of a hurricane can vary widely, from relatively small and weak storms to massive, devastating ones like Hurricane Katrina. The National Hurricane Center (NHC) is our go-to source, providing forecasts, advisories, and watches and warnings. The NHC monitors the Atlantic and Eastern Pacific basins, and their data is critical for understanding the current status and potential impacts of these storms. The ability to monitor these storms in real time using tools like live radar and NOAA satellite imagery is crucial. Understanding the basics helps us appreciate the power and complexity of these weather phenomena. Staying informed with accurate information can help us make informed decisions during hurricane season.

The Importance of Early Detection and Tracking

Early detection and tracking are absolutely critical when it comes to hurricanes. The sooner we know about a potential storm and its projected path, the better prepared we can be. This advance warning allows communities to take protective measures, like evacuating vulnerable areas, securing homes, and stocking up on essential supplies. Early warnings also give emergency responders time to mobilize resources and coordinate relief efforts. Without timely and accurate information, the consequences can be disastrous. Imagine a hurricane rapidly intensifying and changing course without any prior warning. This is why having access to live radar and NOAA satellite data is so valuable. It gives us a real-time view of what’s happening. The use of advanced technology allows for the consistent monitoring of weather patterns. We can predict the path and intensity of a storm. These technologies give us valuable time to prepare and protect ourselves. Early detection and tracking not only help protect lives and property, but also minimizes the economic and social impacts of these powerful storms.

Decoding Live Radar: Your Eyes in the Sky

So, what exactly is live radar, and how can it help us track hurricanes? Radar, or Radio Detection and Ranging , works by emitting radio waves that bounce off precipitation, like rain, snow, and hail. The radar then measures the time it takes for these waves to return and the strength of the returning signal. This data is converted into a visual representation of the storm, showing us the intensity and location of precipitation. On a radar map, different colors usually represent the intensity of rainfall. Stronger colors, like reds and purples, indicate heavier rain and potentially more intense areas within the hurricane. With live radar, you can see the storm’s structure. You can see the eyewall and the rain bands extending outward. This is a dynamic view. It shows us how the storm is evolving over time. There are a lot of fantastic online resources for live radar, including websites like Weather Underground and local news stations’ websites. They usually offer interactive radar maps that let you zoom in, pan around, and even add overlays like storm tracks and watches/warnings. To get the most out of live radar , try to understand the color coding. Also, check out the various features these sites provide, such as the ability to view past radar loops. This can give you a clearer picture of the storm’s movement and any changes in its intensity. Radar is your real-time view to the storm, helping you see what’s happening right now.

Using Radar Data for Hurricane Tracking

Radar data is a crucial tool for hurricane tracking . First, it gives you the storm’s current location and movement. By watching the radar over time, you can see which direction the storm is heading. You can estimate its speed. Second, radar helps determine the storm’s intensity. Looking at the color intensity of the rainfall, we can estimate how strong the winds are. The stronger the rainfall, the more intense the hurricane. Third, radar helps to visualize the storm’s structure. You can clearly identify the eye, the eyewall, and the rain bands. This is critical for understanding where the most dangerous parts of the storm are located. Radar data also helps to track changes in the storm. For example, if the eye becomes more defined or the rain bands become more organized, the storm may be strengthening. You can monitor these changes in real time, and this will help you to assess the potential impacts of the storm. Combined with information from other sources, like NOAA satellite data and forecasts, radar provides a comprehensive view of the storm’s characteristics. Being able to interpret radar information can make a big difference when dealing with a hurricane.

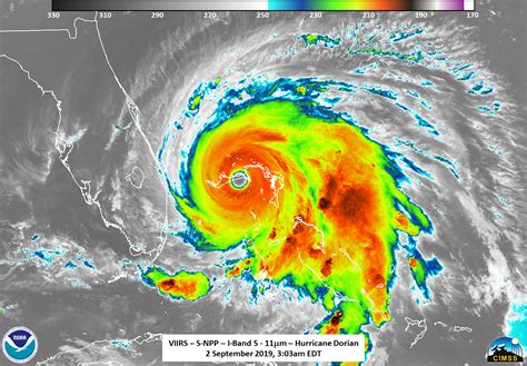
Exploring NOAA Satellite Imagery: A Satellite’s Perspective

Now, let’s turn our attention to NOAA satellites , another incredibly useful tool for hurricane tracking. NOAA (National Oceanic and Atmospheric Administration) operates a fleet of satellites that continuously monitor the Earth’s weather patterns from space. These satellites provide a much broader perspective than radar. They capture images of the entire storm system, providing a bird’s-eye view of its size, shape, and overall structure. There are two primary types of NOAA satellites that are important for hurricane tracking: geostationary and polar-orbiting satellites. Geostationary satellites, like GOES (Geostationary Operational Environmental Satellite), orbit the Earth at the same rate as the Earth rotates. They are positioned over a fixed point above the equator, allowing them to provide continuous real-time monitoring of the same area. Polar-orbiting satellites, on the other hand, orbit the Earth from pole to pole, providing a global view of weather patterns. They collect a wide range of data, including images, temperature readings, and atmospheric measurements. NOAA satellites use various sensors to collect data in different parts of the electromagnetic spectrum. For example, they can capture visible light images (what you would see if you were looking down on the storm), infrared images (which show cloud-top temperatures, revealing the intensity of the storm), and water vapor images (which show the distribution of moisture in the atmosphere). NOAA satellite imagery is often available on websites like the NOAA website and other weather resources. They provide interactive maps that allow you to view the storm from space and even create animated loops to see how it is evolving. To make the most out of satellite imagery, it’s essential to understand the different types of images and how they provide different types of information.

Analyzing Satellite Imagery for Hurricane Assessment

Satellite imagery is an amazing tool for hurricane assessment . This provides a comprehensive overview of the storm system. Let’s delve into how it can be used to track and understand hurricanes. First of all, satellite imagery reveals the storm’s overall size and shape. You can see how large the storm is. You can identify the structure, including the eye, eyewall, and rain bands. Second, satellite imagery helps determine the storm’s intensity. Infrared imagery shows the temperature of cloud tops. Colder cloud tops indicate stronger convection and a more intense storm. Third, it allows you to track the storm’s movement. You can watch animated loops of satellite images. This will show you how the storm is moving over time. You can predict its path. You can look at the surrounding weather patterns. This can help to determine where the storm is likely to go. Satellite imagery also helps in forecasting. Scientists use the data from satellites to improve their models. They can better predict the storm’s intensity, path, and potential impacts. The use of this imagery enables the comprehensive analysis of hurricanes. This helps to make sure that we stay safe during hurricane season.

Combining Radar and Satellite Data: A Powerful Duo

When we combine live radar and NOAA satellite data, we gain a much more powerful understanding of the storm. These two technologies complement each other. Radar provides a detailed view of the storm’s precipitation and structure at a local level, while satellites offer a broader perspective of the entire storm system and its environment. Together, they provide a complete picture. You can see the storm’s exact location, intensity, and movement in real time. Combine this with the ability to see how the storm fits into the larger weather patterns. This lets us make informed decisions about preparedness and response. For example, radar can show you the location and intensity of rainfall. Satellite imagery can show you the overall size and structure of the storm, including the eye and rain bands. Together, this combination gives us a better understanding of how dangerous the storm is and which areas are most at risk. Using both sources of information enhances your ability to track the storm’s movement and intensity. You can identify any changes in the storm. You can assess how it’s interacting with other weather systems. When interpreting the data from radar and satellites, remember that the radar gives you a detailed local view. The satellite gives a broader view. Take advantage of different resources and websites to get the complete picture of the storm. In a nutshell, using live radar and NOAA satellite data together can save lives.

Practical Applications and Examples

Let’s put this knowledge into action with some practical examples! Imagine a hurricane is approaching your area. You turn to live radar and see a clearly defined eye and a strong eyewall, indicating a potentially dangerous storm. At the same time, you’re viewing NOAA satellite imagery, which shows the hurricane’s large size. The satellite also indicates the presence of warm ocean waters, which could fuel the storm. Knowing this, you can now combine both sources. You get a complete understanding of the threat. You understand which areas are most at risk, and you can make the necessary preparations. Another example involves monitoring changes in the storm’s intensity. You might notice on the radar that the rain bands are becoming more organized, and the rainfall intensity is increasing. You look at the satellite imagery and see that the cloud tops are getting colder, indicating that the storm is strengthening. This combined information is a clear signal that the storm is becoming more dangerous. You can make an informed decision and take the necessary precautions. Being able to use and understand these data sources is super important. It enables you to make informed decisions about safety and preparedness. If you understand these concepts, you can act with confidence and protect yourself.

Resources and Further Learning

So, where do you go to get these live radar and NOAA satellite resources? Several great websites and apps offer this data! Here are some of the popular resources:

  • NOAA Website: The official source for all things NOAA, including real-time satellite imagery, radar data, and hurricane forecasts. You’ll find it incredibly helpful to bookmark this one.
  • National Hurricane Center (NHC): Provides the latest hurricane forecasts, advisories, watches, and warnings. An absolute must-visit for any hurricane tracking.
  • Weather Underground: Offers interactive radar maps, satellite imagery, and weather data for your local area and beyond.
  • Local News Stations: Most local news stations have great websites and apps with real-time radar and weather information for your area. They often provide localized information and alerts.
  • Weather Apps: Many weather apps, such as AccuWeather and The Weather Channel , provide real-time radar, satellite imagery, and hurricane tracking tools. Make sure to download a few apps to help with your hurricane tracking.

To become more proficient in hurricane tracking, you can also explore educational resources such as online courses, tutorials, and informational videos that explain the science behind hurricanes. Understanding the science will make you a pro in no time! Remember, staying informed and prepared is the best defense against these storms. By using these tools, you are in a great position to stay safe.

Staying Safe During Hurricane Season: Final Thoughts

Alright, guys, you’re now armed with the knowledge and tools to track hurricanes like a pro! Remember, staying safe during hurricane season involves a combination of preparedness, awareness, and knowing how to access the right information. Always stay informed about weather updates from reliable sources. Have an evacuation plan in place. Have a hurricane kit ready with essential supplies. Pay close attention to any watches or warnings issued by the National Weather Service . During a hurricane, remember to stay indoors, away from windows and doors. Be ready for power outages. Keep a close eye on the storm’s progression using live radar and NOAA satellite data. Most importantly, trust the experts and follow their recommendations. Hurricane season can be a challenging time, but by taking these steps, you can help to keep yourself, your family, and your community safe. Stay vigilant, stay informed, and always prioritize your safety! That’s all for now. Stay safe, and happy hurricane tracking!