Live Hurricane Tracker: NOAA Radar Updates

T.Beswifty 108 views
Live Hurricane Tracker: NOAA Radar Updates

Live Hurricane Tracker: NOAA Radar Updates

Hey guys! Are you looking to stay informed about hurricanes and tropical storms? Staying updated with real-time information is super important, especially if you’re in an area prone to these powerful storms. One of the best resources available is the NOAA Hurricane Center, which offers a live radar tracker that provides crucial insights. In this article, we’ll dive deep into how to use the NOAA Hurricane Center’s radar, what to look for, and why it’s such a valuable tool for anyone in a hurricane-prone region. Let’s get started!

Understanding the NOAA Hurricane Center

The National Oceanic and Atmospheric Administration (NOAA) is your go-to federal agency for all things weather and ocean-related. The NOAA Hurricane Center, a division of the National Weather Service, specializes in tracking and forecasting tropical cyclones and hurricanes. Their mission is to provide timely and accurate information so that people can make informed decisions to protect their lives and property.

One of the key tools they use is radar. Radar is a detection system that uses radio waves to determine the range, angle, or velocity of objects. In the context of hurricanes, radar helps meteorologists see the storm’s structure, intensity, and movement in real-time. This information is vital for issuing warnings and advisories.

The NOAA Hurricane Center’s radar provides a detailed look at a hurricane’s inner workings. It shows the eye, the eyewall (the most intense part of the storm), rainbands, and even the storm’s overall size and shape. By analyzing these features, forecasters can predict where the hurricane is headed and how strong it will be when it makes landfall. For us regular folks, this means we can get a clear picture of what’s coming our way and prepare accordingly. The NOAA uses a network of land-based radar stations and aircraft-based radar systems to gather comprehensive data. Land-based radar stations provide continuous monitoring, while aircraft-based radar, like the NOAA’s Hurricane Hunters, fly directly into the storms to collect detailed data from within. This combination of technologies ensures that the NOAA has the most accurate and up-to-date information available. The data collected from these sources is processed and displayed on the live radar tracker, which we’ll explore in the next section. So, whether you’re a seasoned storm tracker or just want to keep your family safe, understanding the role of the NOAA Hurricane Center and its use of radar is the first step in staying informed and prepared.

How to Access the Live Radar Tracker

Alright, let’s get practical. Accessing the NOAA Hurricane Center’s live radar tracker is pretty straightforward. First off, head to the NOAA’s official website. Just type “NOAA Hurricane Center” into your search engine, and it should be the first result. Once you’re on the site, look for the section dedicated to active storms or the “Tropical Cyclone” section. Here, you’ll usually find a link to the live radar.

Another great way to access the radar is through the National Weather Service website. This site often provides direct links to the radar imagery for any active hurricanes. You can also use various weather apps and websites that pull data directly from NOAA. Popular apps like The Weather Channel, AccuWeather, and Windy often have integrated radar maps that show hurricane activity.

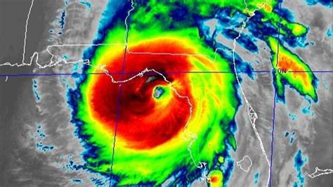
When you get to the radar interface, you’ll see a map with color-coded areas. These colors represent the intensity of the precipitation. Green usually indicates light rain, while yellow, orange, and red indicate heavier rainfall. The darker the color, the more intense the rain. The radar also shows the storm’s center, often marked with a hurricane symbol. You’ll also see the storm’s projected path, usually indicated by a cone. This cone represents the range of possible tracks the hurricane could take. Remember, the storm could go anywhere within that cone, so it’s essential to monitor the updates closely.

Most radar interfaces also allow you to zoom in and out, which is super handy for getting a closer look at specific areas. You can also often adjust the radar loop speed to see how the storm is moving over time. Some advanced features might include the ability to overlay different data layers, such as wind speed or storm surge potential. Make sure you familiarize yourself with the interface so you can quickly find the information you need. The key is to make this a regular habit during hurricane season. Bookmark the NOAA Hurricane Center and National Weather Service websites, download a reliable weather app, and check them frequently. Staying informed is the best way to keep yourself and your loved ones safe during a hurricane. Knowing how to access and interpret the live radar tracker is a crucial skill that can make all the difference.

Interpreting the Radar Images

So, you’ve got the live radar up and running, but what exactly are you looking at? Understanding how to interpret radar images is key to staying informed about a hurricane’s progress and potential impact. The colors on the radar indicate the intensity of rainfall. Green typically means light rain, yellow indicates moderate rain, orange signifies heavy rain, and red signifies the most intense rainfall. The darker the shade, the heavier the rain.

The eye of the hurricane is usually visible as a clear, calm area in the center of the storm. Surrounding the eye is the eyewall, which is the most intense part of the hurricane. The eyewall is where you’ll find the strongest winds and heaviest rainfall. On the radar, the eyewall appears as a ring of intense red or purple surrounding the eye. This is the area you want to pay close attention to, as it indicates the most dangerous part of the storm.

Rainbands are spiraling bands of thunderstorms that extend outward from the eyewall. These bands can stretch for hundreds of miles and bring heavy rain and strong winds. On the radar, rainbands appear as curved lines of color, with the intensity of the color indicating the intensity of the rain and wind. The projected path, often represented by a cone, shows the possible routes the hurricane might take. The center line of the cone indicates the most likely path , but remember that the storm could deviate from this path. The width of the cone represents the uncertainty in the forecast. The wider the cone, the less certain the forecast. Always monitor the updates and pay attention to any changes in the projected path.

Look out for changes in the storm’s intensity. If the colors on the radar become more intense, it means the storm is strengthening. If the eye becomes more defined, it also indicates that the storm is intensifying. Pay attention to the storm’s speed and direction. If the storm is moving faster, it will reach your area sooner. If the storm is changing direction, it could affect different areas than initially predicted. Always cross-reference the radar data with official advisories and warnings from the NOAA Hurricane Center and your local National Weather Service office. These agencies provide expert analysis and guidance that can help you make informed decisions. Understanding how to interpret radar images empowers you to make better decisions about your safety and preparedness. By knowing what to look for, you can stay one step ahead of the storm and protect yourself and your loved ones.

Importance of Real-Time Tracking

Real-time tracking of hurricanes is crucial for several reasons. First and foremost, it allows you to stay informed about the storm’s current location and projected path. This information is vital for making decisions about evacuation, securing your property, and stocking up on supplies. Hurricanes can change direction and intensity quickly. Real-time tracking ensures that you have the most up-to-date information, allowing you to adjust your plans as needed.

Secondly, real-time tracking helps you assess the potential impact on your area. By monitoring the storm’s intensity, size, and speed, you can get a sense of how severe the effects might be. This information can help you decide whether to evacuate, reinforce your home, or take other protective measures. Real-time data also allows emergency responders to coordinate their efforts more effectively. Emergency management agencies use the latest information to deploy resources, plan evacuation routes, and provide assistance to those in need.

Continuous monitoring enables you to track the storm’s progress over time. This allows you to see how the storm is evolving and whether it is strengthening or weakening. It also helps you understand how the storm is interacting with other weather systems, which can affect its behavior. Real-time tracking is particularly important for those living in coastal areas. These areas are most vulnerable to the effects of hurricanes, including storm surge, high winds, and flooding. Staying informed about the storm’s progress can help you make timely decisions to protect your life and property. It also helps in identifying the specific areas most at risk. By monitoring the storm’s track and intensity, you can determine which areas are likely to experience the worst effects. This information can help you decide whether to evacuate and where to seek shelter.

In conclusion, real-time tracking of hurricanes is essential for staying safe and prepared. It provides you with the information you need to make informed decisions, protect your property, and coordinate with emergency responders. Make sure to use reliable sources, such as the NOAA Hurricane Center and the National Weather Service, to get the most accurate and up-to-date information.

Staying Safe During a Hurricane

Okay, so you’re tracking the hurricane like a pro using the NOAA radar , but what do you do with that information? Staying safe during a hurricane involves a combination of preparation, awareness, and decisive action. Before hurricane season even begins, take some time to develop a hurricane preparedness plan. This plan should include evacuation routes, emergency contact information, and a list of essential supplies.

Make sure you have a well-stocked emergency kit . This kit should include enough food and water for at least three days, a first-aid kit, flashlights, batteries, a battery-powered radio, and any necessary medications. Don’t forget to include items like a can opener, a whistle, and copies of important documents. Securing your home is another critical step. Trim trees and shrubs around your house to prevent them from falling on your property. Bring in any outdoor furniture, decorations, and other loose objects that could become projectiles in high winds. Reinforce your windows and doors with plywood or hurricane shutters. If you live in a mobile home, take extra precautions to secure it, as mobile homes are particularly vulnerable to hurricane-force winds.

If you’re in an evacuation zone, follow the instructions of local authorities and evacuate as soon as possible. Don’t wait until the last minute, as traffic can become congested and roads can become impassable. If you’re not in an evacuation zone, stay indoors and away from windows and doors. Find a safe room, such as an interior room on the lowest level of your home. Listen to the radio or television for updates and instructions from emergency officials. After the storm passes, be aware of potential hazards. Stay away from downed power lines and flooded areas. Report any damage to your insurance company and local authorities.

Check for gas leaks before using any appliances. Be careful when cleaning up debris, as there may be hidden dangers. Helping your neighbors and community can also make a big difference. Check on elderly or disabled neighbors and offer assistance where needed. By following these safety tips, you can minimize the risk of injury or death during a hurricane. Remember, preparation is key to staying safe and protecting your loved ones.

Conclusion

In conclusion, using the NOAA Hurricane Center’s live radar tracker is an invaluable tool for anyone living in or near hurricane-prone areas. By understanding how to access and interpret the radar images, you can stay informed about the storm’s progress and potential impact. Real-time tracking allows you to make timely decisions about evacuation, securing your property, and stocking up on supplies. Remember, preparation is key to staying safe during a hurricane. Develop a hurricane preparedness plan, stock up on essential supplies, and secure your home. Follow the instructions of local authorities and evacuate if necessary. By taking these steps, you can minimize the risk of injury or death and protect your loved ones. Stay informed, stay prepared, and stay safe!