Hurricane Helene: Tracking With Radar Technology

T.Beswifty 43 views
Hurricane Helene: Tracking With Radar Technology

Hurricane Helene: Tracking with Radar Technology

Introduction to Hurricane Helene

Hey guys! Let’s dive into understanding Hurricane Helene, a significant weather event that caught the attention of meteorologists and the public alike. Hurricanes , also known as tropical cyclones, are powerful storms characterized by strong winds, heavy rainfall, and storm surges. These storms form over warm ocean waters and can cause widespread damage upon landfall. Understanding the lifecycle, intensity, and trajectory of a hurricane like Helene is crucial for effective disaster preparedness and response. Advanced technologies, such as radar systems, play a pivotal role in monitoring and predicting the behavior of these destructive forces of nature.

Hurricane Helene developed over the Atlantic Ocean and exhibited the typical characteristics of a tropical cyclone. Initially, it began as a tropical disturbance, gradually intensifying into a tropical storm and eventually reaching hurricane status. The storm’s development was closely monitored by various meteorological agencies, including the National Hurricane Center (NHC), which issued regular advisories and updates to keep the public informed. The intensity of Hurricane Helene fluctuated throughout its lifespan, with periods of strengthening and weakening due to various atmospheric and oceanic conditions. These fluctuations made it challenging to predict its exact path and potential impact on land. Throughout its journey, Hurricane Helene presented a significant threat to coastal communities, emphasizing the importance of accurate tracking and forecasting.

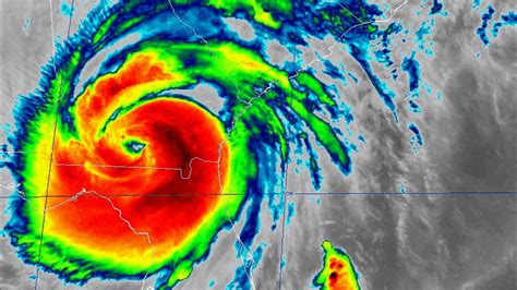
Radar technology is indispensable for monitoring hurricanes like Helene, providing real-time data on the storm’s structure, intensity, and movement. These sophisticated systems use electromagnetic waves to detect precipitation and wind patterns within the storm. The data collected by radar systems are critical for creating accurate weather models and forecasts. By analyzing radar images, meteorologists can identify key features of the hurricane, such as the eye, eyewall, and rainbands. The eye is the calm center of the storm, while the eyewall is the region of intense thunderstorms surrounding the eye, typically containing the strongest winds. Rainbands are spiraling bands of showers and thunderstorms that extend outward from the center of the hurricane. Radar data helps meteorologists assess the strength of these features and predict how the hurricane will evolve. Early warnings and timely evacuations can save lives and minimize property damage, making radar technology an invaluable tool in hurricane preparedness.

The Role of Radar in Tracking Hurricanes

Alright, let’s get into the nitty-gritty of how radar systems work. Radar systems emit electromagnetic waves that bounce off objects in the atmosphere, such as raindrops, ice particles, and debris. The reflected waves are then received by the radar antenna, providing information about the location, intensity, and movement of these objects. In the context of hurricane tracking, radar systems are strategically positioned along coastlines and on weather reconnaissance aircraft to provide comprehensive coverage of storm systems. These systems can detect the presence and intensity of precipitation within the hurricane, allowing meteorologists to map out the storm’s structure and track its movement over time. Doppler radar, a more advanced type of radar, can also measure the velocity of raindrops, providing valuable information about wind speeds within the hurricane. This information is crucial for assessing the storm’s intensity and predicting its potential impact on coastal areas.

Doppler radar is particularly useful because it can measure the speed and direction of the wind within a storm. This is super important for figuring out how strong the hurricane is and where it’s headed. By analyzing the Doppler radar data, meteorologists can identify areas of strong rotation and convergence, which are key indicators of a hurricane’s intensity. The data helps them refine their forecasts and issue timely warnings to communities in the storm’s path. For instance, if the radar shows that the hurricane is intensifying and moving towards a densely populated area, officials can order evacuations to protect residents. This capability makes Doppler radar an essential tool for hurricane preparedness and mitigation.

Different types of radar are used to track hurricanes, each with its own strengths and limitations. Ground-based radar systems provide continuous coverage of coastal areas, while airborne radar systems, such as those deployed on NOAA’s Hurricane Hunter aircraft, can penetrate the storm itself, providing detailed information about its internal structure. Satellite-based radar systems offer a broader view of the storm, allowing meteorologists to monitor its development and movement over vast areas of the ocean. By integrating data from these different radar sources, meteorologists can create a comprehensive picture of the hurricane and improve the accuracy of their forecasts. This multi-faceted approach to radar monitoring ensures that communities have the best possible information to prepare for and respond to these powerful storms.

Analyzing Radar Data for Hurricane Helene

Okay, so how do meteorologists actually use radar data to understand what’s happening with a hurricane like Helene? Analyzing radar data involves a combination of technical expertise and scientific knowledge. Meteorologists use specialized software to process and visualize the radar data, creating images that show the storm’s structure, intensity, and movement. By examining these images, they can identify key features of the hurricane, such as the eye, eyewall, and rainbands. They can also assess the storm’s intensity by measuring the reflectivity of the radar signals, which is related to the amount of precipitation within the storm. Doppler radar data provides information about wind speeds, allowing meteorologists to identify areas of strong rotation and convergence. All of this information is used to refine weather models and improve forecasts.

Radar imagery interpretation is a critical skill for meteorologists. They need to be able to distinguish between different types of precipitation, identify areas of intense rainfall, and track the movement of the storm’s key features. They also need to understand the limitations of radar data and account for potential errors or biases. For example, radar signals can be attenuated by heavy rainfall, leading to underestimation of the storm’s intensity. Meteorologists use their expertise to correct for these errors and provide the most accurate assessment of the hurricane’s strength and potential impact.

Case studies of Hurricane Helene provide valuable insights into how radar data is used in real-time hurricane forecasting. Meteorologists analyze radar images and data from various sources to track the storm’s movement, assess its intensity, and predict its potential impact on coastal areas. These case studies highlight the importance of accurate radar data in issuing timely warnings and coordinating emergency response efforts. By studying past hurricanes like Helene, meteorologists can improve their understanding of these complex weather systems and enhance their ability to forecast future storms. This continuous learning process is essential for protecting communities from the devastating effects of hurricanes.

Impact and Significance of Accurate Tracking

Alright, let’s talk about why all this tracking stuff really matters. Accurate tracking of hurricanes is crucial for effective disaster preparedness and response. When meteorologists can accurately predict a hurricane’s path and intensity, communities can take the necessary steps to protect themselves and their property. This includes evacuating from vulnerable areas, securing homes and businesses, and stocking up on essential supplies. Accurate tracking also allows emergency responders to deploy resources to the areas that are most likely to be affected, ensuring that help is available when and where it’s needed most.

The benefits of early warnings cannot be overstated. Studies have shown that communities that receive timely and accurate warnings are better able to prepare for hurricanes and reduce the risk of injury or death. Early warnings give people time to evacuate, secure their homes, and take other protective measures. They also allow emergency responders to mobilize resources and coordinate rescue efforts. In contrast, communities that do not receive adequate warnings are more likely to experience significant damage and loss of life. The accuracy and timeliness of hurricane tracking are essential for saving lives and minimizing the impact of these destructive storms.

Real-world examples illustrate the importance of accurate hurricane tracking. In past hurricanes, communities that received accurate warnings were able to evacuate successfully and avoid the worst of the storm. In contrast, communities that did not receive adequate warnings experienced significant damage and loss of life. These examples underscore the critical role that accurate tracking plays in protecting communities from the devastating effects of hurricanes. By investing in advanced radar technologies and training skilled meteorologists, we can improve our ability to track hurricanes and save lives.

Future of Hurricane Tracking Technology

Okay, so what’s next in the world of hurricane tracking? Advancements in radar technology are constantly improving our ability to monitor and predict hurricanes. One area of focus is the development of more powerful and sophisticated radar systems that can provide higher-resolution images of storm structures and wind patterns. These systems will allow meteorologists to better understand the internal dynamics of hurricanes and improve the accuracy of their forecasts. Another area of development is the use of unmanned aerial vehicles (UAVs) equipped with radar sensors to collect data from within the storm. These UAVs can fly into areas that are too dangerous for manned aircraft, providing valuable information about the hurricane’s intensity and structure.

Innovations in data processing are also playing a key role in improving hurricane tracking. As more data becomes available from radar systems and other sources, meteorologists need better tools to process and analyze this information. New algorithms and software are being developed to automatically identify key features of hurricanes, track their movement, and predict their intensity. These tools will help meteorologists make better use of the available data and improve the accuracy of their forecasts. The integration of artificial intelligence (AI) and machine learning (ML) is expected to further enhance data processing capabilities, enabling more accurate and timely hurricane predictions.

The integration of AI and machine learning holds tremendous promise for the future of hurricane tracking. AI and ML algorithms can be trained to recognize patterns in radar data and predict the future behavior of hurricanes. These algorithms can also be used to improve the accuracy of weather models and refine forecasts. For example, AI and ML can be used to predict how a hurricane’s intensity will change over time, based on its current characteristics and the surrounding atmospheric conditions. This information can be invaluable for helping communities prepare for the storm and take appropriate protective measures. As AI and ML technologies continue to develop, they will play an increasingly important role in hurricane tracking and forecasting, ultimately leading to better preparedness and reduced risk.

Conclusion

So there you have it, folks! The use of radar technology is essential for tracking hurricanes like Helene and protecting communities from their devastating effects. Radar systems provide real-time data on the storm’s structure, intensity, and movement, allowing meteorologists to issue timely warnings and coordinate emergency response efforts. By investing in advanced radar technologies and training skilled meteorologists, we can improve our ability to track hurricanes and save lives. The future of hurricane tracking is bright, with advancements in radar technology, data processing, and the integration of AI and machine learning promising to further enhance our ability to monitor and predict these powerful storms. Stay safe, and always heed the warnings of your local weather authorities!