Atlantic Hurricane Updates: What You Need To Know

T.Beswifty 56 views
Atlantic Hurricane Updates: What You Need To Know

Atlantic Hurricane Updates: What You Need to Know

Hey everyone, and welcome back to your essential guide to staying informed about the Atlantic hurricane season . Today, we’re diving deep into the latest happenings, because let’s be real, when it comes to hurricanes, knowing what’s going on today can make all the difference in staying safe and prepared. We’ll cover everything from current storm systems and forecasts to what experts are saying about the season’s activity. So, grab a cup of coffee, settle in, and let’s get you up to speed on all things Atlantic hurricane news today.

Tracking Today’s Storms: Where Are We Now?

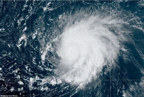
First things first, let’s talk about what’s actually happening out there in the Atlantic right now . Keeping a close eye on any developing tropical disturbances is crucial, especially during the peak of hurricane season. Meteorologists are constantly monitoring areas of disturbed weather, looking for signs that they might organize into tropical depressions, tropical storms, or even full-blown hurricanes. Today’s Atlantic hurricane news often starts with these nascent systems. We’ll be discussing any systems that are currently being tracked by the National Hurricane Center (NHC), noting their location, intensity (if any), and projected path. Sometimes, it’s just a few disorganized clouds, other times it’s a system that’s already showing a bit of spin. Regardless of the current status, understanding the genesis of these storms is key. We’ll break down the factors that encourage or discourage development, like sea surface temperatures, wind shear, and atmospheric moisture. Are we seeing unusually warm waters? Is the upper-level wind pattern conducive to storm formation? These are the questions we’ll be addressing to give you a clear picture of the immediate tropical weather landscape. Remember, even a system that looks insignificant today could evolve rapidly, so staying informed is your first line of defense. We’ll aim to provide the most up-to-date information, drawing from official sources to ensure accuracy. For those living in hurricane-prone areas, this is the intel you absolutely need to have.

What the Experts Are Saying: Seasonal Outlooks and Predictions

Beyond the day-to-day tracking, it’s super important to understand the bigger picture. What are the long-range forecasts for the Atlantic hurricane season telling us? Experts at various meteorological institutions, including NOAA, Colorado State University, and others, release seasonal outlooks that predict the overall activity level. These predictions are based on complex climate models and factors like El Niño/La Niña cycles (ENSO), the Atlantic Multi-Decadal Oscillation (AMO), and sea surface temperatures across the Atlantic basin. When we look at Atlantic hurricane news today , it’s often framed within these seasonal expectations. Are we in for an above-average, near-average, or below-average season in terms of the number of named storms, hurricanes, and major hurricanes? We’ll break down these predictions, explain what drives them, and discuss any recent updates or revisions to these outlooks. For instance, if scientists have recently updated their forecasts based on new data, we’ll tell you what that means for potential risk. Understanding these broader trends helps communities and individuals make more informed decisions regarding preparedness and mitigation efforts. It’s not just about the storm that might be forming this week; it’s about the potential for multiple threats throughout the season. We’ll also touch upon the confidence levels associated with these forecasts – because, let’s face it, hurricane prediction is a tricky business, and even the best models have limitations. Knowing the range of possibilities is just as valuable as knowing the most likely scenario. This section is all about providing context to the daily updates you’ll be seeing.

Factors Influencing Hurricane Formation and Intensity

Guys, let’s get into the nitty-gritty of why hurricanes form and how they get so powerful. Understanding the ingredients for a hurricane is key to appreciating the forecasts and warnings you hear. At its core, a hurricane needs warm ocean water (at least 80°F or 26.5°C) stretching down to a depth of about 150 feet. This warm water is the fuel. Then, you need a pre-existing weather disturbance, like a tropical wave moving off the coast of Africa. Low wind shear – meaning the winds at different altitudes aren’t drastically changing speed or direction – is also vital. High wind shear can tear a developing storm apart. Furthermore, the Coriolis effect, caused by the Earth’s rotation, helps the storm spin. Today’s Atlantic hurricane news often hinges on whether these conditions are present or expected to develop. We’ll delve into how these factors are currently measuring up across the Atlantic basin. Are sea surface temperatures running hotter than usual? Is the upper atmosphere stable, or is it riddled with disruptive winds? We’ll break down the meteorological jargon into plain English, so you can understand the underlying science behind the forecasts. Knowing these influential factors empowers you to better interpret the information you receive and understand the potential threats. It’s about moving beyond just the headlines and grasping the mechanics of these powerful natural events. We’ll also discuss how climate change might be playing a role, potentially leading to stronger storms and higher rainfall rates. This deeper dive into the science aims to give you a more comprehensive understanding of hurricane behavior and the dynamics shaping the current season.

Staying Prepared: Actionable Advice for Today

So, we’ve talked about the storms and the forecasts. Now, let’s get practical. What can you actually do today to be ready? Being prepared isn’t just about waiting for a storm to be on your doorstep; it’s about ongoing readiness. First off, know your risk . Are you in an evacuation zone? What are the potential hazards in your area – storm surge, high winds, flooding? The NHC and local emergency management agencies provide crucial information on this. Secondly, build your emergency kit . This should include essentials like water, non-perishable food, a first-aid kit, medications, flashlights, batteries, and a battery-powered or hand-crank radio. Think about having at least a 3-day supply. Thirdly, make a family emergency plan . This includes evacuation routes, meeting points if separated, and communication strategies. And importantly, secure your home . This might involve boarding up windows, securing outdoor objects that could become projectiles, and trimming trees. For those of you who live in mobile homes or less sturdy structures, heed evacuation orders promptly. Today’s Atlantic hurricane news should be a catalyst for action, not just a source of information. We’ll provide links to resources where you can find detailed checklists and guidance from FEMA and your local emergency managers. Don’t wait until a storm is imminent. Use the information we share about current and potential threats to motivate your preparedness efforts now . It’s about building resilience, one step at a time. This section is your go-to for actionable steps you can take immediately.

Resources for Real-Time Updates and Information

In this digital age, having reliable sources for real-time hurricane information is non-negotiable. When the situation is developing rapidly, you need to know where to turn for the most accurate and timely updates. The absolute go-to source is the National Hurricane Center (NHC) . Their website (nhc.noaa.gov) provides the official watches, warnings, forecasts, and advisories for tropical cyclones in the Atlantic and Eastern Pacific basins. They issue public advisories every few hours during active storms, so checking their site regularly is paramount. Beyond the NHC, local National Weather Service (NWS) offices are invaluable, especially for localized impacts and warnings specific to your immediate area. Many states and counties also have their own emergency management agencies that provide hyper-local information, evacuation orders, and shelter details. Social media can be a double-edged sword. While official accounts from the NHC, NWS, and reputable news organizations can be useful for quick updates, be wary of rumors and misinformation. Always cross-reference information with official sources. We’ll highlight some of these trusted official accounts and websites here, making it easier for you to bookmark and access them when you need them most. Leveraging these resources effectively means knowing who to trust and what information to prioritize. Don’t get caught off guard by relying on hearsay. Use these tools to stay informed, make sound decisions, and keep yourself and your loved ones safe. This part is all about empowering you with the knowledge of where to find the critical Atlantic hurricane news today when seconds count.

Looking Ahead: What’s Next for the Atlantic Hurricane Season?

While we’re focusing on Atlantic hurricane news today , it’s also wise to peek over the horizon. What does the rest of the season potentially hold? Based on the seasonal outlooks we discussed earlier, are we expecting an uptick in activity, or a lull? Forecasters constantly refine their predictions as the season progresses, incorporating new data on ocean temperatures, atmospheric patterns, and the state of ENSO. We’ll discuss any recent shifts in these long-range forecasts and what they might signify. For example, if a predicted La Niña is strengthening faster than anticipated, it could mean increased hurricane activity. Conversely, if El Niño conditions persist, it might suppress storm formation. Understanding these evolving predictions helps us maintain a state of readiness throughout the entire season. It’s not just about the immediate threat; it’s about sustained vigilance. We’ll also touch upon historical data and climatology for this time of year. What are the typical patterns we see in August, September, and October? Knowing the historical context can provide valuable insights into what might be considered